Las zonas de atención pueden cubrirse con más rapidez ahora que vienen las últimas festividades del año.
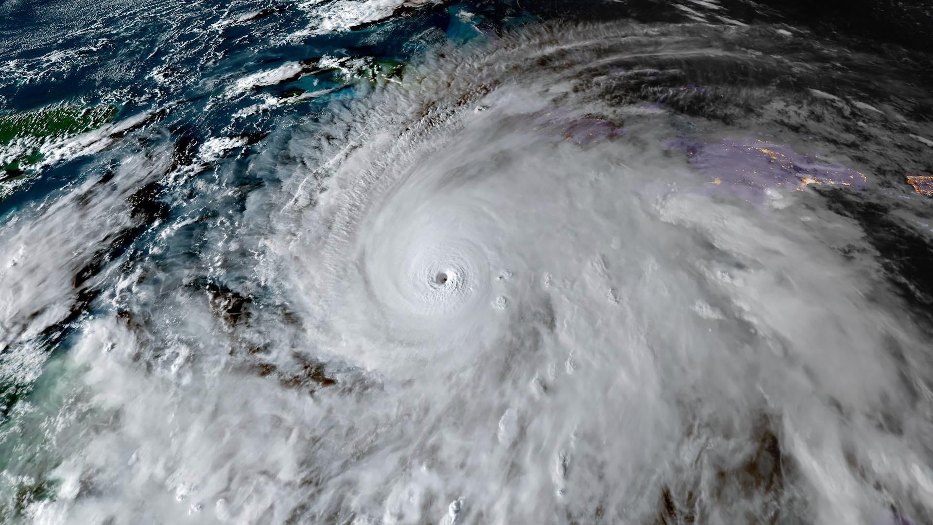
Read MoreTan sólo en Jamaica hasta un millón de personas podrían resultar afectadas, también se prevé que haya centenares de miles de damnificados en Cuba, Bah
Read MoreLa JUMAPA aclaró que el cobro de un peso en el recibo del agua es una aportación voluntaria para apoyar a la Cruz Roja de Celaya.
Read MoreLa Cruz Roja de Guanajuato recibirá 98.8 millones de pesos del programa “Tocando Corazones” para equipar sus delegaciones en el estado.
Read MoreIrapuato refuerza atención médica prehospitalaria; con estas unidades se busca mejorar tiempos de respuesta.
Read MoreEl municipio condenó el hecho mediante un comunicado y pidió a la Fiscalía General de Guanajuato llevar a los responsables ante la justicia.
Read MoreEl equipo de socorro que opera ambulancias e incluso el personal administrativo y de limpieza reciben el taller ‘Acceso seguro’ para saber
Read MoreCruz Roja Guanajuato enfrenta reducción de servicios en Irapuato por falta de ambulancias en buen estado y personal, y hace un llamado a la población
Read MoreDelegaciones de la Cruz Roja en Guanajuato fueron absorbidas por la estatal para sanear sus finanzas y reorganizar sus consejos.
Read MoreLa presidenta Cinthia Teniente dio el banderazo para iniciar el “Operativo San Cristóbal”, en la que participan elementos de Protección Civil, Cruz Ro
Read More